Image 1 of 9
Coastal Maine Gem
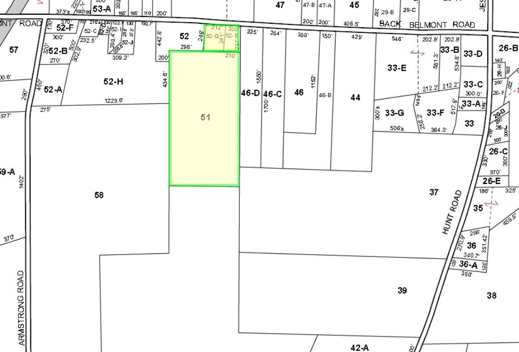
Located on a quiet country road in Belfast Maine. Spectacular estate lot with additional development potential.Build your private estate, escape, horse farm or family compound; 30.2 Acres of undeveloped land, three lots subdivided, wooded, close to Town, schools and shopping.Power @ Street. w/ city maintained summer roads & city plowed winter roads.
Today, this historic seaside town is one of coastal Maine’s unheralded gems. A booming Belfast Economy with good paying jobs and commercial development is close by. Belfast is becoming the call center hub of New England with the likes of Athenahealth, Bank of America, and On Processs Technology already onboard. University of Maine and Penobscot Bay are just minutes away! Belfast Municipal Airport 2 miles away!
Belfast Maine was listed in Downeast magazine as 1 of the 10 best places to live in Maine in 2016.
Property Features
•Lot Description: 30.2 acres, 3 Lots; Deeded
•414 Feet of paved road frontage
•Water: Well Needed On Site
•Waste Water Disposal: Septic Needed On Site
•Power @ Street
Continue to Search Results
1 previous owner(s). Mileage: 0. SUV. Fuel Type: Gas. 2018 Mazda CX-5 Grand Touring CARFAX One-Owner. CALL WHALING CITY MAZDA FOR AVAILABILITY 860-443-2489, LEATHER STEERING WHEEL, LANE KEEP ASSIST, LANE DEPARTURE WARNING SYSTEM, BLIND SPOT MONITORING SYSTEM, HEATED FRONT SEATS, BLUETOOTH HANDS-FREE PHONE/AUDIO, BOSE AM/FM/HD/, POWER MOONROOF, RECENT TRADE. Deep Crystal Blue Mica 6-Speed Automa...
1 previous owner(s). Mileage: 0. SUV. Fuel Type: Gas. 2017 Mazda CX-5 Grand Touring CALL WHALING CITY MAZDA FOR AVAILABILITY 860-443-2489. Snowflake White Pearl Mica 6-Speed Automatic SKYACTIV 2.5L 4-Cylinder DOHC 16V AWD Awards: * 2017 KBB.com Brand Image Awards CALL WHALING CITY MAZDA FOR AVAILABILITY 860-443-2489. All used vehicles may be subject to recalls for safety issues that have not be...
0 previous owner(s). Mileage: 0. Hatchback. Fuel Type: Gas. 2025 Mazda Mazda3 2.5 S Select Sport Certified. CALL WHALING CITY MAZDA FOR AVAILABILITY 860-443-2489. Deep Crystal Blue Mica 6-Speed Automatic SKYACTIV 2.5L 4-Cylinder DOHC 16V FWD Mazda Certified Pre-Owned Details: * Warranty Deductible: $0 * 160 Point Inspection * Powertrain Limited Warranty: 84 Month/100,000 Mile (whichever comes f...
1 previous owner(s). Mileage: 0. SUV. Fuel Type: Gas. 2024 Mazda CX-5 2.5 S Premium Plus Package CALL WHALING CITY MAZDA FOR AVAILABILITY 860-443-2489. Platinum Quartz Metallic 6-Speed Automatic 2.5L 4-Cylinder DOHC AWD CALL WHALING CITY MAZDA FOR AVAILABILITY 860-443-2489. All used vehicles may be subject to recalls for safety issues that have not been repaired, and consumers can determine whe...
1 previous owner(s). Mileage: 0. SUV. Fuel Type: Gas. 2024 Mazda CX-5 2.5 S Select Package CARFAX One-Owner. Certified. CALL WHALING CITY MAZDA FOR AVAILABILITY 860-443-2489, MAZDA FACTORY 160 POINT CERTIFIED, LEATHER STEERING WHEEL, LANE KEEP ASSIST, LANE DEPARTURE WARNING SYSTEM, BLIND SPOT MONITORING SYSTEM, REAR CROSS TRAFFIC ALERT, ANDROID AUTOTM / APPLE CARPLAYTM, ADVANCED SMART CITY BRAK...
$23,777
Used 2024 Mazda CX-30 Select
0 previous owner(s). Mileage: 0. SUV. Fuel Type: Gas. 2024 Mazda CX-30 2.5 S Select Sport Certified. CALL WHALING CITY MAZDA FOR AVAILABILITY 860-443-2489, MAZDA FACTORY 160 POINT CERTIFIED, LEATHER STEERING WHEEL, LANE KEEP ASSIST, LANE DEPARTURE WARNING SYSTEM, BLIND SPOT MONITORING SYSTEM, REAR CROSS TRAFFIC ALERT, ANDROID AUTOTM / APPLE CARPLAYTM, ADVANCED SMART CITY BRAKE SUPPORT, BLUETOOT...
2 previous owner(s). Mileage: 0. SUV. Fuel Type: Gas. 2014 Mazda CX-5 Grand Touring CALL WHALING CITY MAZDA FOR AVAILABILITY 860-443-2489, LEATHER STEERING WHEEL, HEATED FRONT SEATS, BLUETOOTH HANDS-FREE PHONE/AUDIO, RECENT TRADE, CLEAN CARFAX. Crystal White Pearl Mica 6-Speed Automatic SKYACTIV 2.5L 4-Cylinder DOHC 16V AWD Awards: * 2014 IIHS Top Safety Pick, Top Safety Pick+ * 2014 KBB.com 5-...
JM3KFBBM2M1304120. Mileage: 89742. 2021 Mazda CX-5 Sport CALL WHALING CITY FORD!|***BACK UP CAMERA, ***CLEAN CAR FAX. Snowflake White Pearl Mica 6-Speed Automatic SKYACTIV 2.5L 4-Cylinder DOHC 16V AWD PLEASE CONTACT ONE OF OUR ONLINE SALES MEMBERS. All used vehicles may be subject to recalls for safety issues that have not been repaired, and consumers can determine whether an individual used mo...
$20,935
Used 2020 Mazda CX-5 Touring
1 previous owner(s). Mileage: 0. SUV. Fuel Type: Gas. 2020 Mazda CX-5 Touring CARFAX One-Owner. CALL WHALING CITY MAZDA FOR AVAILABILITY 860-443-2489, LEATHER STEERING WHEEL, LANE KEEP ASSIST, LANE DEPARTURE WARNING SYSTEM, BLIND SPOT MONITORING SYSTEM, REAR CROSS TRAFFIC ALERT, ANDROID AUTOTM / APPLE CARPLAYTM, ADVANCED SMART CITY BRAKE SUPPORT, HEATED FRONT SEATS, BLUETOOTH HANDS-FREE PHONE/A...
1 previous owner(s). Mileage: 0. SUV. Fuel Type: Gas. 2022 Mazda CX-5 2.5 S Premium Plus Package CARFAX One-Owner. Certified. CALL WHALING CITY MAZDA FOR AVAILABILITY 860-443-2489, MAZDA FACTORY 160 POINT CERTIFIED, LEATHER STEERING WHEEL, LANE KEEP ASSIST, LANE DEPARTURE WARNING SYSTEM, BLIND SPOT MONITORING SYSTEM, REAR CROSS TRAFFIC ALERT, ANDROID AUTOTM / APPLE CARPLAYTM, ADVANCED SMART CIT...
3 previous owner(s). Mileage: 0. Sedan. Fuel Type: Gas. 2015 Mazda Mazda3 s Grand Touring CALL WHALING CITY MAZDA FOR AVAILABILITY 860-443-2489. Deep Crystal Blue Mica 6-Speed Manual SKYACTIV 2.5L 4-Cylinder DOHC 16V FWD Awards: * 2015 KBB.com 10 Coolest New Cars Under $18,000 * 2015 KBB.com 10 Best Late-Model Used Cars Under $15,000 * 2015 KBB.com 10 Most Awarded Cars * 2015 KBB.com 10 Best Se...
1 previous owner(s). Mileage: 0. SUV. Fuel Type: Gas. 2021 Mazda CX-30 Premium CALL WHALING CITY MAZDA FOR AVAILABILITY 860-443-2489. Machine Gray Metallic 6-Speed Automatic I4 AWD CALL WHALING CITY MAZDA FOR AVAILABILITY 860-443-2489. All used vehicles may be subject to recalls for safety issues that have not been repaired, and consumers can determine whether an individual used motor vehicle i...
1 previous owner(s). Mileage: 0. SUV. Fuel Type: Gas. This 2023 MAZDA CX-5 was recently traded to our store here in Groton! 2023 Mazda CX-5 2.5 Premium Package in Rhodium White Metallic. 2.5l i4 engine, 6 speed automatic transmission, awd, JM3KFBDM0P0159392. CLEAN CARFAX / 1 Owner / LOCAL TRADE with 45404miles. Include state or service history if notable. The cx-5 premium package combines space...
1 previous owner(s). Mileage: 0. SUV. Fuel Type: Gas. 2025 Mazda CX-30 2.5 S Select Sport CALL WHALING CITY MAZDA FOR AVAILABILITY 860-443-2489. Aero Gray Metallic 6-Speed Automatic SKYACTIV 2.5L 4-Cylinder DOHC 16V AWD CALL WHALING CITY MAZDA FOR AVAILABILITY 860-443-2489. All used vehicles may be subject to recalls for safety issues that have not been repaired, and consumers can determine whe...
$21,957
Used 2021 Mazda CX-30 Base
1 previous owner(s). Mileage: 0. SUV. Fuel Type: Gas. 2021 Mazda CX-30 2.5 S CALL WHALING CITY MAZDA FOR AVAILABILITY 860-443-2489. Jet Black Mica 6-Speed Automatic I4 AWD CALL WHALING CITY MAZDA FOR AVAILABILITY 860-443-2489. All used vehicles may be subject to recalls for safety issues that have not been repaired, and consumers can determine whether an individual used motor vehicle is subject...
$14,323
Used 2018 Mazda CX-5 Touring
2 previous owner(s). Mileage: 0. SUV. Fuel Type: Gas. 2018 Mazda CX-5 Touring CARFAX One-Owner. CALL WHALING CITY MAZDA FOR AVAILABILITY 860-443-2489, LANE DEPARTURE WARNING SYSTEM, BLIND SPOT MONITORING SYSTEM, REAR CROSS TRAFFIC ALERT, BLUETOOTH HANDS-FREE PHONE/AUDIO, RECENT TRADE. Jet Black Mica 6-Speed Automatic SKYACTIV 2.5L 4-Cylinder DOHC 16V AWD Awards: * 2018 KBB.com Brand Image Award...
1 previous owner(s). Mileage: 0. Hatchback. Fuel Type: Gas. 2019 Mazda Mazda3 Preferred CALL WHALING CITY MAZDA FOR AVAILABILITY 860-443-2489. Soul Red Crystal Metallic 6-Speed Automatic I4 AWD Awards: * 2019 KBB.com Brand Image Awards CALL WHALING CITY MAZDA FOR AVAILABILITY 860-443-2489. All used vehicles may be subject to recalls for safety issues that have not been repaired, and consumers c...
3 previous owner(s). Mileage: 0. Sedan. Fuel Type: Gas. 2012 Mazda Mazda3 i Touring CALL WHALING CITY MAZDA FOR AVAILABILITY 860-443-2489. Black Mica 6-Speed Automatic 2.0L 4-Cylinder FWD Awards: * 2012 KBB.com 10 Best Used Cars Under $10,000 * 2012 KBB.com 10 Coolest New Cars Under $18,000 * 2012 KBB.com 10 Best Sedans Under $25,000 CALL WHALING CITY MAZDA FOR AVAILABILITY 860-443-2489. All us...
1 previous owner(s). Mileage: 0. SUV. Fuel Type: Gas. 2024 Mazda CX-5 2.5 S Select Package CARFAX One-Owner. CALL WHALING CITY MAZDA FOR AVAILABILITY 860-443-2489, MAZDA FACTORY 160 POINT CERTIFIED, LEATHER STEERING WHEEL, LANE KEEP ASSIST, LANE DEPARTURE WARNING SYSTEM, BLIND SPOT MONITORING SYSTEM, HEATED FRONT SEATS, BLUETOOTH HANDS-FREE PHONE/AUDIO, RECENT TRADE, CLEAN CARFAX, 1 OWNER. Plat...
1 previous owner(s). Mileage: 0. SUV. Fuel Type: Gas. New Price! Polymetal Gray 2022 Mazda CX-5 2.5 S Carbon Edition 4D Sport Utility AWD 6-Speed Automatic SKYACTIV 2.5L 4-Cylinder DOHC 16V 24/30 City/Highway MPG Pick up the phone and call George or Mike at 860-448-0050 and schedule your test drive today!
Vehicles For Sale near Groton, CT
Trending in New York City, NY
-
Dogs labradors 111
-
Furniture vintage 81
-
Homes house 68
-
Cars and Trucks chevrolet 62
-
Stuff for Sale wanted 26
-
Cars and Trucks honda crv 7
-
Household spaniel 4
-
Stuff for Sale bulldogs 3
-
Homes singles 3
-
Campers camper 2
-
Stuff for Sale poodle 2
-
Household pull 2
-
Cars and Trucks subaru forester 2
-
Free Stuff halloween 1
-
Rooms mature 1
-
Free Stuff stove 1